Não são só os místicos Nostradamus ou Baba Vanga a prever um 2025 difícil: segundo os cientistas, um enorme vulcão subaquático deverá entrar em erupção ainda este ano.
Os efeitos devastadores das erupções vulcânicas são bem conhecidos pelos especialistas: desde os horrores de Pompeia até ao caos aéreo do vulcão islandês em 2010, os vulcões não são apenas perigos antigos. Mais recentemente, a erupção Hunga Tonga – Hunga Haʻapai, em 2022, no Pacífico Sul foi considerada a pior do século XXI, causando um tsunami maciço, até 100 vezes mais poderoso do que a bomba atómica lançada sobre Hiroshima, e foi ouvido ao longo de 10.000 km de distância, no Alasca.
O mais preocupante é que a erupção Hunga Tonga–Hunga Haʻapai foi num vulcão submarino, provando o poder do que estes gigantes subaquáticos podem fazer. Agora há outro vulcão que pode ‘imitar’: mais concretamente o vulcão Monte Submarino Axial.
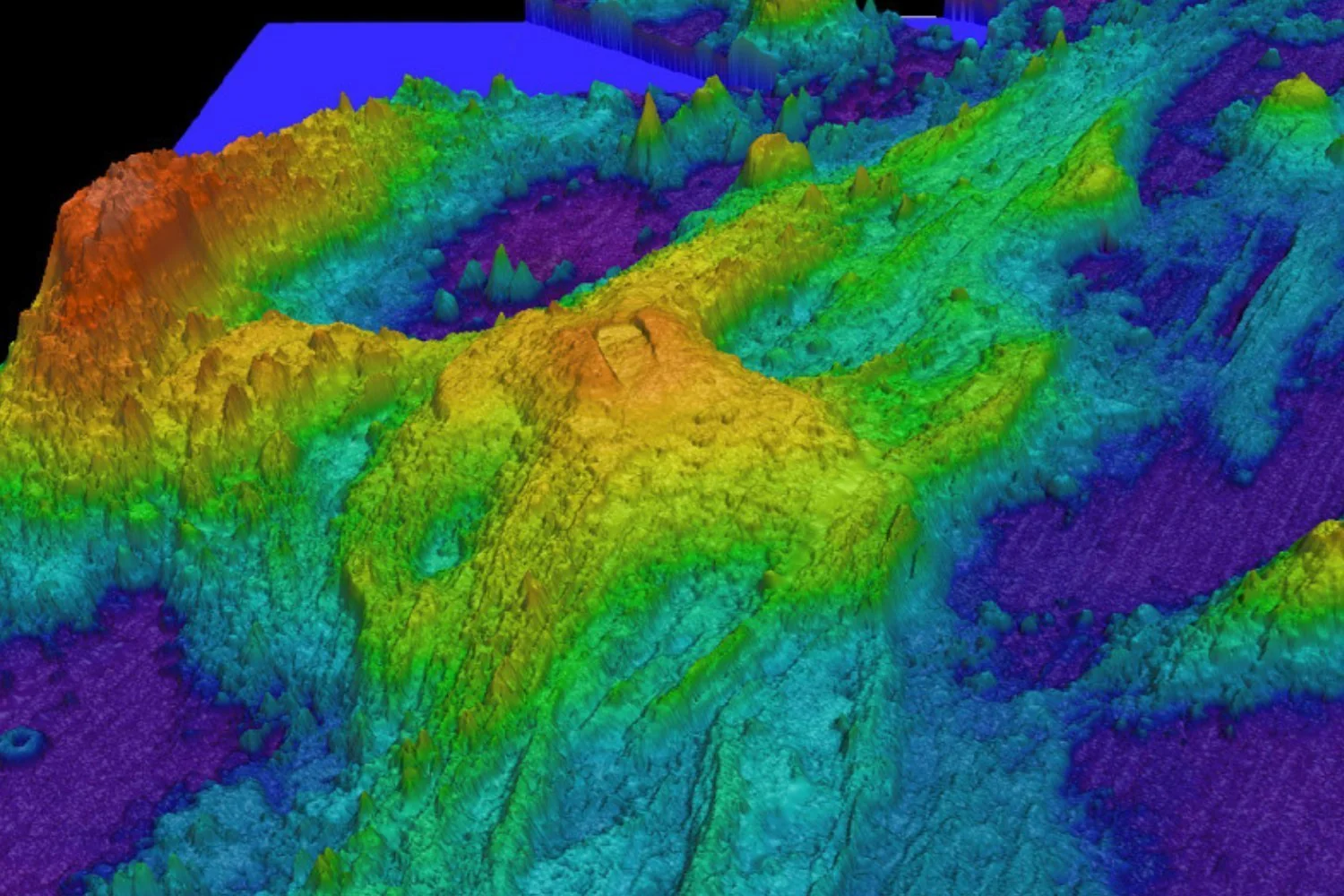
Localizado a cerca de 470 km da costa do Oregon, nos Estados Unidos, o Monte Submarino Axial mede cerca de 1.100 metros de altura e 2 km de diâmetro. Segundo os cientistas, o vulcão atingiu uma altura semelhante à que tinha durante a sua última erupção.
Todos os sinais apontam para a acumulação de magma abaixo do fundo do mar, com pressão crescente. William Chadwick, geólogo da Universidade Estadual do Oregon, relatou estas descobertas na reunião anual, em dezembro último, da União Geofísica Americana, observando como a superfície do Monte Submarino Axial subiu para 95% do que era antes de explodir em 2015.
Embora não se pense que o Monte Submarino Axial represente uma grande ameaça para a humanidade, a sua proximidade com a terra significa que os cientistas estabeleceram o Observatório do Novo Milénio, nas proximidades, como o primeiro observatório subaquático de vulcões do mundo.
Os investigadores instalaram instrumentos avançados para recolher dados em tempo real e esperam prever as erupções com maior precisão. “A deteção de sinais de alerta precoce oferece a excelente oportunidade de implantar veículos operados remotamente para detetar a ocorrência da erupção”, explicou Rebecca Carey, vulcanóloga da Universidade da Tasmânia, na Austrália, ao ‘Science News’.
“O Monte Submarino Axial é um bom local para testar ideias sobre a previsão vulcânica”, enfatizou Valerio Acocella, vulcanólogo da Università Roma Tre, em Itália. “Há sempre o risco de um vulcão seguir um padrão que não vimos antes e fazer algo inesperado.”
Os investigadores estão a utilizar a Inteligência Artificia (IA) para estudar os dados da erupção de 2015 e identificar padrões que possam ajudar a prever futuras erupções. “O que quer que aconteça em 2025 não vai mudar o mundo da previsão de erupções. Vamos compreendê-lo melhor e isso vai ajudar-nos a compreender outros vulcões também”, sustentou Acocella.
Como os vulcões são notoriamente difíceis de prever, prenunciar a potencial erupção do Monte Submarino Axial com tanta antecedência poderia ser revolucionário para a comunidade vulcânica.














